Inhalt
- 1 Vorab in eigener Sache
- 2 Die Geschichte von Klausi: Wenn das Bauchgefühl recht behält
- 3 Was genau passiert bei einer Hüftdysplasie beim Hund?
- 4 Warum trifft es meinen Hund? Die Ursachen im Check
- 5 Die Symptome: Worauf du wirklich achten musst
- 6 Unterstützung von innen: Ernährung und Supplements (WERBUNG)
- 7 Mythen rund um Hund Gelenke: Was wir nicht mehr glauben sollten
- 8 Praxis-Tipps: So gestaltest du den Alltag gelenkschonend
- 9 Übungen für den Spaziergang: Muskelaufbau bei Hüftdysplasie Hund
- 10 Fazit: Hüftdysplasie Hund – Aktiv werden statt abwarten!
- 11
Moin! Wenn du einen Hund hast, besonders eine sportliche Rakete wie einen Malinois oder einen Schäferhund, dann kennst du das Gefühl: Man will, dass das Tier Spaß hat, rennt und sein Leben genießt. Aber im Hinterkopf klopft immer die Sorge an: „Mache ich zu viel? Geht das auf die Knochen?“ Das Thema Hund Gelenke ist unter uns Hundehaltern ein Dauerbrenner – und das aus gutem Grund. Vor allem die Diagnose Hüftdysplasie Hund (kurz HD) treibt vielen den Angstschweiß auf die Stirn.
Ich sage es dir ganz direkt: Es bringt nichts, das Thema totzuschweigen oder sich auf Aussagen wie „Der rennt doch wie ’ne Eins, der hat nichts“ zu verlassen. Wir müssen Tacheles reden. In diesem Text erfährst du alles, was du über die Gesundheit der Gelenke wissen musst, wie du Probleme frühzeitig erkennst und was du im Alltag konkret tun kannst, damit dein Kumpel auf vier Pfoten so lange wie möglich schmerzfrei durch die Gegend galoppiert.
Disclaimer:
Zur besseren Lesbarkeit wird in diesem Artikel das generische Maskulinum verwendet. Die in diesem Artikel verwendeten Personenbezeichnungen beziehen sich – sofern nicht anders kenntlich gemacht – auf alle Geschlechter.
Vorab in eigener Sache
Ich produziere gerade außerdem eine große Doku-Serie über Qual- bzw. Defektzuchten, weil wir uns bei extremen Körperformen leider oft Gesundheit „reinzüchten“, die keiner schönreden sollte. Wenn du das nicht verpassen willst, abonniere unbedingt den Newsletter oder meinen YouTube-Kanal. Wenn du als Halter oder Züchter deine Geschichte teilen möchtest, dann schreib mir gern eine E-Mail an info@dogstv.de .
Die Geschichte von Klausi: Wenn das Bauchgefühl recht behält
Hinweis zum Thema Hund Gelenke und Hüftdysplasie Hund: Dieser Text dient der Information und ersetzt keine tierärztliche Diagnose. Bei Verdacht auf Gelenkprobleme solltest du immer eine Tierarztpraxis aufsuchen.
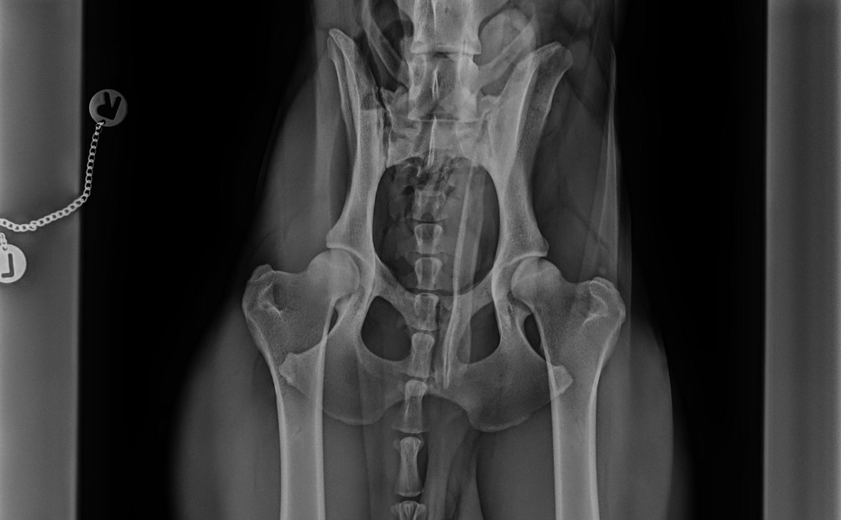
Lass uns mal bei Klausi anfangen. Wir haben den Kerl übernommen, als er anderthalb Jahre alt war. Damals hieß es: „HD und ED? Alles top, wurde untersucht!“ Aber – und hier ist der erste wichtige Punkt für dich – wir haben nie ein Röntgenbild gesehen. Wir haben nachgefragt, wieder und wieder, aber da kam nichts.
Ich wollte aber wissen, woran wir sind. Also ab zum Tierarzt, Röntgenbilder machen lassen (Zahnreinigung gab es direkt im Abwasch dazu, wenn er schon mal in Narkose lag). Und siehe da: Die Tierärztin sah erste Anzeichen für eine Hüftdysplasie Hund. Auch beim Ellbogen gab es Hinweise, dass das Gelenk in Zukunft Probleme machen könnte.
>>> Hier erfährst du mehr über die Rasse Malinois<<<
Das war ein Schlag in die Magengrube, weil Klausi im Alltag absolut nichts gezeigt hat. Er ist gesprungen, ist gerannt, war topfit. Aber genau das ist die Falle! Man lässt sich so schnell beruhigen, wenn man das Tier sieht. Heute, mit fast fünf Jahren, merke ich, dass dieses frühe Röntgen extrem wichtig war. Ich sehe heute die Kleinigkeiten: Er braucht nach dem Schlafen länger, um „rund“ zu laufen. Er überlegt zweimal, ob er springt. Hätten wir damals nicht hingeschaut, hätten wir seinen Körper vielleicht schon längst über die Kante getrieben.

Was genau passiert bei einer Hüftdysplasie beim Hund?
Bevor wir zu den Tipps kommen, müssen wir kurz verstehen, was da im Körper eigentlich schief läuft. Wenn wir über Hund Gelenke sprechen, geht es oft um Passgenauigkeit.
Hüftdysplasie Hund: Das mechanische Problem
Stell dir das Hüftgelenk wie ein Kugelgelenk vor. Da gibt es den Hüftkopf und die Hüftpfanne. Bei einem gesunden Hund sitzt dieser Kopf bombenfest und sauber in der Pfanne. Wenn wir aber über die Hüftdysplasie Hund reden, dann passt das Ganze einfach nicht optimal zusammen. Der Kopf wackelt, sitzt locker oder die Pfanne ist zu flach.
Durch diese Instabilität entsteht Reibung. Und Reibung im Gelenk ist der Feind. Sie führt zu Verschleiß, und Verschleiß führt am Ende fast immer zu Arthrose. Das Gelenk verändert sich, es bilden sich knöcherne Zubildungen, und irgendwann tut jeder Schritt weh.
Die Ellbogendysplasie (ED)
Beim Ellbogen ist es ähnlich. Hier geht es oft um Entwicklungsstörungen im Wachstum. Gerade bei Rassen wie dem Malinois ist das relevant, weil diese Hunde beim Bremsen oder bei engen Wendungen extrem viel Last über die Vorderbeine abfangen. Ein Ellbogen, der ohnehin nicht sauber „gebaut“ ist, bekommt dann die doppelte Ladung Stress ab.
Warum trifft es meinen Hund? Die Ursachen im Check
Es ist selten nur die eine Sache. Meistens ist es ein Mix aus verschiedenen Faktoren, die am Ende darüber entscheiden, wie gesund die Hund Gelenke bleiben.
Die Genetik (Veranlagung): Manche Hunde kommen schon mit „schlechten Karten“ auf die Welt. Die Gelenke sind genetisch bedingt instabil. Das heißt nicht, dass der Hund sofort Schmerzen hat, aber seine Belastungsgrenze ist deutlich niedriger.
Das Wachstum: Das ist ein kritischer Punkt. Wenn Hunde zu schnell wachsen – oft durch zu energiereiches Futter – wachsen Knochen, Sehnen und Muskeln nicht im gleichen Tempo. Der Hund sieht außen stark aus, aber innen ist alles noch „Wackelpudding“.
Körpergewicht: Jedes Kilo zu viel ist pure Physik. Wenn die Hüfte instabil ist, drückt jedes Gramm Fett zusätzlich auf den Knorpel. Ich kenne das von meinem eigenen kaputten Knie: Ein bisschen Winterspeck drauf, und schon wird das Treppensteigen zur Qual. Beim Hund ist das nicht anders.
Belastung im Alltag: Zu viel Springen, wilde Stopps beim Ballspielen, rutschige Laminatböden oder ständiges Treppensteigen. Das stresst die Gelenke enorm, besonders wenn eine Hüftdysplasie Hund bereits im Hintergrund schlummert.
Die Symptome: Worauf du wirklich achten musst
Hunde sind Weltmeister im Verbergen von Schmerzen. In der Natur bedeutet Schwäche, dass man von anderen Predatoren gefressen wird oder das Rudel verliert. Deshalb jaulen Hunde nicht sofort los. Du musst also zum Detektiv werden.
Körperliche Anzeichen
Achte darauf, wie dein Hund aufsteht. Braucht er drei Anläufe? Verlagert er das Gewicht komisch? Streckt er sich nach dem Schlafen extrem lang oder – noch verdächtiger – tut er es plötzlich gar nicht mehr? Bei Klausi habe ich gemerkt, dass er nach Ruhephasen manchmal einen Moment länger braucht, bis er wirklich rund läuft. Manchmal braucht er auch mehrere Anläufe, um sich sauber hinzusetzen oder hinzulegen. Das sind keine riesigen Alarmglocken. Es sind Hinweise. Viele Halter warten auf das große Humpeln. Dabei beginnt Hüftdysplasie Hund im Alltag oft viel leiser.
Verhaltensänderungen – Das wird oft übersehen!
Oft zeigt sich eine Hüftdysplasie Hund an völlig atypischen Symptomen:
Veränderungen beim Strecken und beim Hinsetzen: Viele Hunde strecken sich beim Aufstehen ganz lang, hinten und vorne. Wenn dieses Strecken plötzlich ausbleibt und gleichzeitig andere Dinge auffallen, lohnt sich ein Check. Auch schiefes Sitzen oder ein sichtbares Ausweichen kann ein Zeichen sein, dass Hund Gelenke irgendwo nicht happy sind.
Verhalten als Symptom: gereizt, ausweichend, „keine Lust“: Richtig spannend wird es beim Verhalten. Ein Hund kann plötzlich schneller gereizt sein. Er kann beim Anfassen ausweichen. Er kann sich nach dem Schwimmen nicht gern abtrocknen lassen oder beim Bürsten plötzlich diskutieren. Manche Hunde reagieren komisch, wenn man über Hüfte, Rücken oder Schulter streicht, obwohl sie das früher mochten. Manche brechen beim Spielen früher ab oder werden grantiger in Situationen, in denen sie sonst gelassen waren. Ich sehe solche Veränderungen heute nicht sofort als Trainingsproblem. Ich sehe sie als mögliches Körpersignal. Bei Hüftproblemen beim Hund und generell bei den Gelenken deines Hundes lohnt es sich, Verhalten ernst zu nehmen.
Plötzlich auftretende Aggressionen: Wenn dein Hund normalerweise nicht zu Aggressionen neigt, plötzlich aber aggressiv auf bestimmte Reize oder Situationen reagiert, kann das immer ein Zeichen für Schmerz oder sonstigen körperlichen Beschwerden sein. Daher am besten immer tierärztlich abklären.
Pro-Tipp bevor Hüftdysplasie Hund ein Thema wird:
Nimm dein Handy und filme deinen Hund regelmäßig beim Laufen. Von vorne, von hinten, von der Seite. Im Alltag gewöhnt man sich an ein schleichendes Humpeln. Im Video-Vergleich von vor drei Monaten siehst du die Wahrheit sofort. Das Video ist für deinen Tierarzt Gold wert!
Unterstützung von innen: Ernährung und Supplements (WERBUNG)
wir haben ganz neu zwei Produkte für Klausi gefunden, die gerade richtig gut in unseren Alltag passen: die Supplement-Snacks bzw. Ergänzungsfutter von mammaly. Ich möchte das mit dir teilen, weil ich weiß, wie schnell man bei sportlichen Hunden denkt: „Läuft doch.“ Und dabei merkt der Körper oft leiser, früher und viel subtiler, dass er Unterstützung gebrauchen könnte.
Wir testen aktuell „Grünlippmuschel + MSM“ und „Hyaluron + Kollagen“. Ich finde es super, über die Ernährung gezielt ergänzen zu können, wenn Gelenke und Bewegungsapparat viel leisten müssen. Bei uns ist das super simpel in der Routine: morgens eine kleine Portion ins Futter oder in etwas Frischkäse, und Klausi nimmt’s entspannt auf. Warum genau diese beiden? „Grünlippmuschel + MSM“ soll die Gelenkfunktion stabilisieren und die Agilität unterstützen, und „Hyaluron + Kollagen“ soll Elastizität und geschmeidige Bewegungsabläufe fördern. Beide sind hypoallergen formuliert, was für uns wichtig ist, weil Klausi sensibel reagiert.
Alle Produkte von mammaly werden laut Herstellerangaben mit Tierärzt:innen entwickelt, in Deutschland hergestellt und haben eine 90-Tage-Geld-zurück-Garantie. Wenn du dir diese oder noch viele weitere Produkte von mammaly anschauen willst, nutze meinen Link, weil es den Deal nur darüber gibt: Mit meinem Code DOGSTV bekommst du exklusiv 30 % auf Snacks & Toppings bei der ersten Lieferung und 10 % auf die neuen Supplements.
Mythen rund um Hund Gelenke: Was wir nicht mehr glauben sollten
Es kursieren soviel Ammenmärchen in der Hundebubble, rund um die Hund Gelenke, lasst uns mal damit aufräumen:
| Mythos | Die Wahrheit |
| „Er jault nicht, also hat er keine Schmerzen.“ | Hunde verbergen Schmerzen als Schutzmechanismus. Das ist evolutionsbedingt, um keinen „Fressfeinden“ zum Opfer zu fallen. „Keinen Bock haben“ ist oft ein Schmerzsignal. |
| „Der rennt doch noch, alles super!“ | Adrenalin und Arbeitsfreude überdecken vieles. Ein Malinois funktioniert oft noch, wenn der Körper eigentlich schon „Nein“ sagt. |
| „Das ist halt das Alter, da kann man nichts machen.“ | Alter ist keine Krankheit. Man kann den Alltag anpassen, Schmerzen lindern und Lebensqualität erhalten! |
| „Ein Malinois braucht wildes Ballwerfen zur Auslastung.“ | Genau dieses „Leerhetzen“ mit harten Stopps killt die Gelenke. Kontrollierte Bewegung ist viel wertvoller. |
Praxis-Tipps: So gestaltest du den Alltag gelenkschonend
Wir haben bei Klausi einiges umgestellt. Hier sind die Dinge, die bei uns den größten Unterschied gemacht haben:
Belastungsspitzen streichen: Wir werfen keine Bälle mehr, bei denen er wie ein Bekloppter abstoppen muss. Kein sinnloses Gehetze. Stattdessen machen wir Sachen, die den Kopf fordern und den Körper kontrolliert bewegen.
Die Autorampe (Ein absolutes Muss!): Warum wir das nicht früher gemacht haben, weiß ich auch nicht. Das Rein- und Rausspringen aus dem Auto ist Gift für die Ellbogen und die Hüfte. Trainingstipp: Eine Rampe ist für den Hund erst mal ein gruseliges Brett und er muss lernen, ruhig darüber zu laufen.
– Körpersprache: Bleib offen! Stell dich nicht vor den Hund und blockiere den Weg.
– Geduld: Führe ihn mit der Hand (vielleicht erst mal ohne Futter direkt in der Nase, damit er nicht nur auf das Leckerlie starrt) ganz ruhig hoch und runter.
– Stabilität: Die Rampe darf nicht wackeln, sonst verliert der Hund sofort das Vertrauen.
Das Gewicht im Griff behalten: Ich sage es noch mal, weil es so wichtig ist: Halte deinen Hund schlank! Man sollte die Rippen leicht fühlen können. Jedes Gramm zuviel bedeutet viel mehr Stress für die Hund Gelenke.
Übungen für den Spaziergang: Muskelaufbau bei Hüftdysplasie Hund
Muskeln stabilisieren Gelenke. Wenn die Muskulatur stark ist, muss die Knochenstruktur weniger Last tragen. Hier sind drei Übungen, die du bei jedem Spaziergang einbauen kannst (die genauen Anleitungen findest du im 2. Teil der Videos):
Rückwärtslaufen in Zeitlupe
Eine einfache Übung ist Rückwärtslaufen. Langsam ist hier das Zauberwort. Viele Hunde setzen sich am Anfang hin, weil sie diese Bewegung nicht kennen. Dann gehst du ein, zwei Schritte zurück, holst ihn ruhig wieder in den Stand und startest neu. Rückwärtslaufen nutzt den Bewegungsapparat anders als normales Vorwärtsgehen und kann Gelenke deines Hundes stabilisieren, wenn es kontrolliert gemacht wird.
„Parcours“ aus Baumstämmen: drübersteigen statt drüberspringen
Im Wald liegen oft Stöcke, Baumstämme oder kleine Hindernisse. Wir bauen daraus keinen Sprungparcours, sondern eine Kontrollübung. Klausi soll langsam und bewusst über Hindernisse steigen. Idealerweise hebt er jedes Bein einzeln. Viele Hunde hopsen mit den Hinterläufen einfach hinterher. Genau das wollen wir nicht. Langsam, kontrolliert, bewusst. Läuft er zu schnell, bremst du ihn einfach mit der flachen Hand vor der Brust aus. Das ist anstrengend für den Kopf und gut für die Tiefenmuskulatur. Für Hund Gelenke ist diese Art Arbeit oft sinnvoller als wildes Rennen.
Strecken am Baum, ohne Springen
Eine weitere Übung ist kontrolliertes Strecken. Du hältst Futter hoch an einen Baum, der Hund soll sich strecken, aber nicht springen. Zwei bis drei Wiederholungen reichen völlig. Es geht nicht um Show, es geht um Beweglichkeit.
Schwimmen als gelenkfreundliche Option
Im Sommer schwimmt Klausi gern. Schwimmen kann eine schöne Möglichkeit sein, Muskulatur zu nutzen, ohne die Gelenke hart zu belasten. Auch hier gilt: nicht übertreiben. Kurze, entspannte Einheiten bei Hüftdysplasie Hund sind oft besser als „bis der Hund komplett durch ist“. Gerade wenn Hüftdysplasie Hund ein Thema ist, zählt Dosierung mehr als Heldentum.
Hilfe vom Profi: Physiotherapie und Tierarzt
Ein Punkt, den viele gern überspringen, ist Unterstützung durch Profis. Ein guter Tierphysiotherapeut schaut sich an, wie dein Hund läuft und wie er seinen Körper benutzt. Dabei fällt oft auf, dass ein Hund ein Bein schon schont oder sich schief bewegt, obwohl man es im Alltag kaum merkt. Diese Fehlbelastungen verändern das Gangbild. Genau da kann Physiotherapie helfen.
Physiotherapie kann bei orthopädischen Erkrankungen unterstützen, also zum Beispiel bei Arthrose, bei Hüftproblemen beim Hund oder bei ED. Sie kann auch bei Altersbeschwerden helfen, wenn ein Hund steifer wird oder schlechter aufsteht. Bei Sport- und Arbeitshunden kann sie helfen, den Körper besser zu stabilisieren, damit Gelenke deines Hundes langfristig mitspielen. Nach Operationen oder Verletzungen kann Physiotherapie helfen, wieder Kraft und Sicherheit aufzubauen. Und auch bei neurologischen Problemen kann Physiotherapie unterstützen, weil es dort oft um Koordination und saubere Bewegungsmuster geht.
Viele Praxen arbeiten mit Geräten. Das können Laufbänder sein oder andere Trainingsgeräte, die den Körper schonend fordern. Unterwassertherapie ist ebenfalls eine Option, die viele Hunde gut annehmen. Für mich ist Physiotherapie keine Luxusnummer, sondern eine pragmatische Hilfe, wenn ich Hund Gelenke erhalten will.
Fazit: Hüftdysplasie Hund – Aktiv werden statt abwarten!
Zusammenfassend lässt sich sagen: Eine Hüftdysplasie Hund ist kein Weltuntergang, wenn man sie auf dem Schirm hat. Klar, es ist Mist, wenn die Diagnose kommt, aber du hast so viele Hebel in der Hand. Schau auf die Ernährung, unterstütze die Hund Gelenke mit hochwertigen Zusätzen und achte auf ein gesundes Maß an Bewegung.
Vergiss das „höher, schneller, weiter“. Dein Hund will bei dir sein und mit dir arbeiten – ob das beim wilden Ballspielen passiert oder beim konzentrierten Balancieren über Baumstämme, ist ihm am Ende egal. Hauptsache, er hat keine Schmerzen dabei.
Sei ehrlich zu dir selbst, wenn du Veränderungen bei deinem Hund bemerkst. Geh lieber einmal zu viel zum Arzt als einmal zu wenig. Dein Kumpel wird es dir mit vielen Jahren Treue und Lebensfreude danken.



